Beschrijving
Moderne en energiezuinige woning uit 2018 met vier slaapkamers/ruime zolder, fijne achtertuin met berging en achterom. De woning is gelegen in een rustige buurt dichtbij het centrum van Breda.
Indeling
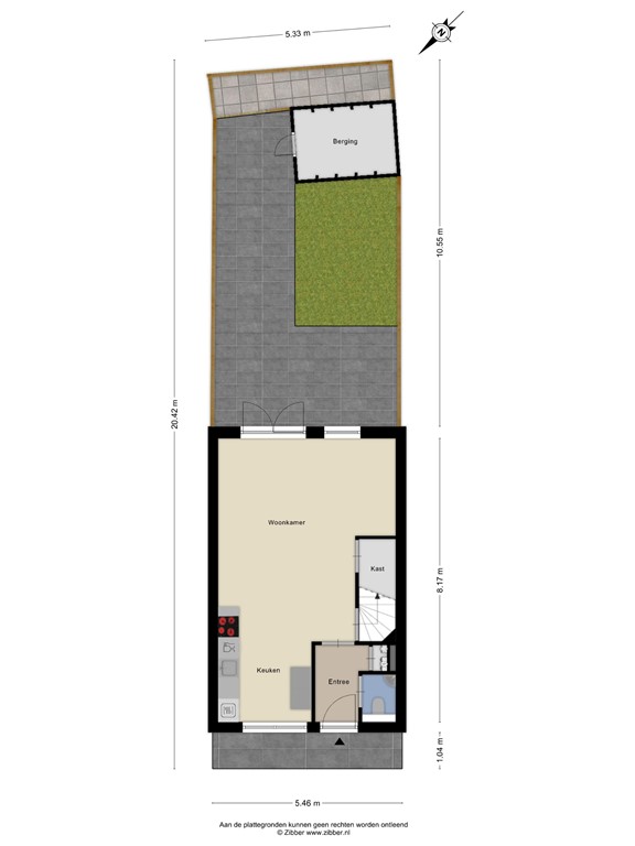
Entree
U komt binnen in de entree met meterkast (8 groepen), betegelde toiletruimte met hangend toilet en wastafel. Vanuit de entree heeft u toegang tot de woonkamer.
Entree
U komt binnen in de entree met meterkast (8 groepen), betegelde toiletruimte met hangend toilet en wastafel. Vanuit de entree heeft u toegang tot de woonkamer.
Woonkamer met open keuken
Woonkamer (5,85 bij 5,11 m.) bevindt zich aan de achterzijde van de woning. De woonkamer heeft veel lichtinval door de openslaande tuindeuren en het raam aan de achterzijde. Via een dubbele deur heeft u toegang tot de achtertuin.
Keuken
De keuken (3,35 bij 2,69 m.) bevindt zich aan de voorzijde van de woning. De keuken is voorzien van een koelkast, heteluchtoven met magnetron en stoomfunctie, vaatwasser, een brede RVS schouw-afzuigkap, een 4-pits inductieplaat en diverse (bestek)lades. De voorraadkast in de keuken is niet bij de koopsom inbegrepen.
Inbouwkast
Onder de trap is een inbouwkast (0,97 bij 2,95 m.) met elektra en de verdeler van de verwarming.
De begane grond is volledig voorzien van vloerverwarming. De muren zijn voorzien van stucwerk en het plafond van spuitwerk. De gehele begane grond beschikt over een vloer met en geoliede toplaag van eiken.
Eerste verdieping
Op de eerste verdieping vindt u een overloop, badkamer en drie slaapkamers. De eerste verdieping is voorzien van laminaat, de muren van stucwerk en het plafond van spuitwerk.
Slaapkamer I
De eerste slaapkamer (2,90 bij 3,57 m.) bevindt zich aan de voorzijde.
Slaapkamer II
De tweede slaapkamer (2,90 bij 4,50 m.) bevindt zich aan de achterzijde.
Slaapkamer III
De derde slaapkamer (2,10 bij 2,80 m.) bevindt zich ook aan de achterzijde.
Badkamer
De geheel betegelde badkamer (2,07 bij 2,19 m.) beschikt over een inloopdouche met glazen wand, een hangend toilet en wastafel. Naast de mechanische ventilatie kunt u de badkamer ventileren via het raam.
Tweede verdieping
Met een open trap komt u op de tweede verdieping, voorzien van laminaat en stucwerk. Aan de voorzijde vindt u een veluxraam voor daglicht. Er is bergruimte in het knieschot en een inbouwkast met CV-ketel (Nefit), een installatie voor warmte-terugwinning (Duco) en een omvormer voor 4 zonnepanelen.
Slaapkamer IV
De tweede etage kan gebruikt worden als vierde slaapkamer (5,11 bij 4,50 m.). Het is zelfs mogelijk om hier twee slaapkamers te creëren. Het is een hoge zolder met schuine zijden. Op deze zolder is een aansluiting voor een wasmachine en droger aanwezig.
Tuin
Tuin en berging
De woning heeft een tuin van 10,55 bij 5,33 m. en is op het noordwesten gesitueerd. Die tuin is voorzien van grote tegels en kunstgras.
Achterin de tuin staat de berging (5,8 m2) met elektra. Vanuit de achtertuin heeft u toegang tot de brandgang.
Bijzonderheden
Tweede verdieping
Met een open trap komt u op de tweede verdieping, voorzien van laminaat en stucwerk. Aan de voorzijde vindt u een veluxraam voor daglicht. Er is bergruimte in het knieschot en een inbouwkast met CV-ketel (Nefit), een installatie voor warmte-terugwinning (Duco) en een omvormer voor 4 zonnepanelen.
Slaapkamer IV
De tweede etage kan gebruikt worden als vierde slaapkamer (5,11 bij 4,50 m.). Het is zelfs mogelijk om hier twee slaapkamers te creëren. Het is een hoge zolder met schuine zijden. Op deze zolder is een aansluiting voor een wasmachine en droger aanwezig.
Tuin en berging
De woning heeft een tuin van 10,55 bij 5,33 m. en is op het noordwesten gesitueerd. Die tuin is voorzien van grote tegels en kunstgras.
Achterin de tuin staat de berging (5,8 m2) met elektra. Vanuit de achtertuin heeft u toegang tot de brandgang.
Bijzonderheden
- De woning heeft Energielabel A, dus de stookkosten zullen relatief laag zijn;
- De draai-/kiepkozijnen zijn van kunststof;
- In 2024 is het sauswerk van de woning grotendeels vervangen.
Ligging
De woning is gelegen aan de Mgr. Horsthuisstraat, een rustige omgeving dichtbij het centrum van Breda. In de directe nabijheid bevinden zich diverse winkels, supermarkten, scholen en sportfaciliteiten.
Het bruisende stadscentrum van Breda is op korte fietsafstand bereikbaar, waardoor u eenvoudig kunt genieten van alle horeca, winkels en cultuur die de binnenstad te bieden heeft. Ook het openbaar vervoer is goed vertegenwoordigd, met bushaltes en een treinstation in de nabije omgeving.
Parkeergelegenheid is ruim voldoende aanwezig en is zonder vergunningen en gratis. Daarnaast is de ligging ten opzichte van uitvalswegen gunstig, waardoor de A16 en andere belangrijke verbindingswegen snel en eenvoudig te bereiken zijn.
Plattegronden
183333637_1632949_mgr_begane_grond_first_design_20260314_d2e822.jpg
183333637_1632949_mgr_eerste_verdiepi_first_design_20260314_f12923.jpg
183333637_1632949_mgr_tweede_verdiepi_first_design_20260314_a6c40c.jpg
183333637_1632949_mgr_begane_grond_tu_first_design_20260314_e10dbb.jpg
183333637_1632949_mgr_berging_first_design_20260314_eeccb2.jpg